分析

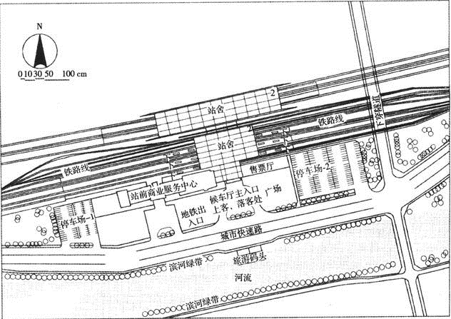
案例题 图所示为某城市新建铁路枢纽——火车站及广场总平面交通流线组织。

图某城市新建铁路枢纽平面图
【问题】
分析该大型交通设施规划设计中的不妥之处。

正确答案
该大型交通设施规划设计中的不妥之处有:
(1)停车场2出入口距离城市道路交叉口过近,应至少大于50m。
(2)火车站广场在城市快速路上开口过多,影响城市快速路功能发挥,同时带来严重的交通安全问题。建议站前商业服务中心机动车出入口与站舍机动车出入口合并设置。
(3)停车场2不应只设1个出入口,应增加1个出入口。根据《城市道路交通规划设计规范》规定,少于50个停车位的停车场,可设一个出入口,其宽度宜采用双车道;停车位50~300个的停车场,应设置2个出入口。大于300个停车位的停车场,出口和入口应该分开设置,两个出入口之间的距离应大于20m。
(4)火车站广场与旅游码头间的联系不便,穿越城市快速路。应增加地下通道或架设天桥,不得直接穿越城市快速路。
(5)停车场1位置不好,人流需长距离穿越广场进入站舍。建议设置地下停车场,减少地面人流与车流的交叉干扰。
(6)不应只设置1个地铁出入口,造成人流过度集中,使用不便。
查看解析

相关试题

刷题小程序
城乡规划实务题库小程序
热门试卷